Mein Garten und ich

Tipps, spezielle Fragen und allgemeine Beiträge
Benutzeravatar
Rioja
apasionado
apasionado
Beiträge: 913
Registriert: Mi 20. Okt 2010, 02:36

Re: Mein Garten und ich

Beitrag von Rioja »

Hallo zusammen

Möchte nun mein letztes Versprechen einlösen und euch endlich mal in unseren Garten schauen lassen. Ihr wisst, dass wir Ende April zu Hause angekommen sind, ebenfalls, dass wir zwischenzeitlich zwei Wochen Orts abwesend waren. Während dieser Zeit habe ich bei den wenigen Besuchen auch Bilder gemacht und vom sich entwickelnden Garten. Bitte Bild anklicken um zu vergrössern.

Teil 1
Garten  Anfang Mai 2011 1549.jpg, 1.jpg
Das Blumenbett stand in voller Blüte. Die Tulpen, Osterglocken und Narzissen blühten zu unserem Empfang.
Garten  Anfang Mai 2011 1551.jpg, 1.jpg
Die Christrosen in verschiedenen Farbvarianten waren zwar schon fast verblüht, Doch selbst nach der Vollblüte weiss diese Blume zu begeistern, selbst sogar mit dem Samenstand.
Garten  Anfang Mai 2011 1554.jpg, 1.jpg
Hier orange Tulpen
Garten  Anfang Mai 2011 1570.jpg, 1.jpg
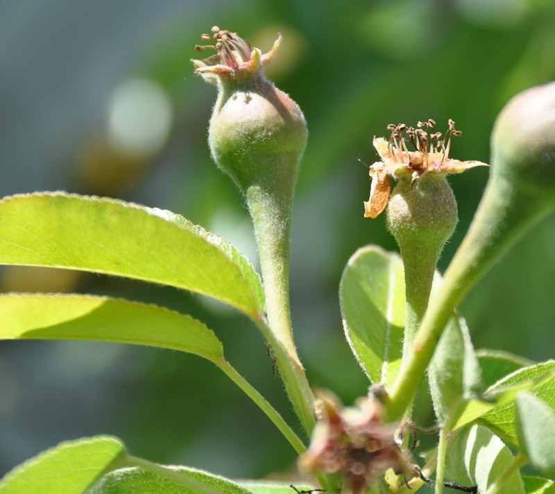
Auch die Apfelbäume blühen sehr gut und das schöne Wetter lässt die Bienen fliegen vom nahen Bienenhaus. Die „Dinger“ an der Haltestange sind Stücke von Feuerwehrschläuchen, gefüllt mit Holzwolle. In dieser hausen Orschlüpfer und helfen bei der Schädlingsbekämpfung. Hier bei den Obstbäumen in erster Linie die Blattläuse.
Garten  Anfang Mai 2011 1575.jpg, 1.jpg
Noch einmal ein Blick aufs Blumenbeet.
Garten  Anfang Mai 2011 1592.jpg, 1.jpg
Nochmals eine Tulpe von oben.
Garten  Anfang Mai 2011 1601.jpg, 1.jpg
Der Bärlauch ist „vorbei“, er blüht schon. Die schönen Blumen verschönern jeweils kleine Blumengestecke. Übrigens soll man den Bärlauch ab Blüte nicht mehr ernten. Bei mir hat es unterhalb der Altpflanzen stets Jungbärlauch von den letztjährigen Samen. Diese kleinen Pflanzen eignen sich, die Bärlauchsaison etwas zu verlängern- Hinter dem Bärlauch, noch vor dem Farn blüht auch schon die akeleiblättrige weisse Wiesenraute. Verdeckt blüht dieses Jahr auch zum ersten Mal eine rosarote.
Garten  Anfang Mai 2011 1605.jpg, 1.jpg
Die Befruchtung der Birnblüten ist schon vorbei und es sind doch schon echte kleine Birnen zu erkennen. Der Baum steht als Spalier an der Süd-Hauwand.
Garten  Anfang Mai 2011 793.jpg, 1.jpg
Ziemlich viel Arbeit bereitet das Herrichten der Gemüsebeete. Muss doch gelockert, gerecht und das Beet geformt werden. Auch die Schäuche der vom Computer gesteuerten Bewässerung müssen angebracht werden. Links sieht man die Kiwisträucher (glattschalige kleine sehr gute Sorte). Im Hintergrund die Appfelbäume und dahinter die Him- und Erdbeeren. Anschliessend und zuoberst von unserem Grundstück die Kompostgrube. Auf dem Kompost pflanze ich jedes Jahr Zuchetti und Kürbis, manchmal auch Pattisson.
Garten  Anfang Mai 2011 857.jpg, 1.jpg
Das Gemüsebeet mit Setzlingen versehen und mit Rasenschnitt gemulcht. Im Vordergrund "Spanier" zum angewöhnen und zwei drei "Patienten".

Wenn gewünscht könnte ich noch weitere Teile zeigen.
Es grüsst

Rio



Zwanzig Kilometer von der Küste entfernt, fängt Spanien meist erst richtig an.
Benutzeravatar
Florecilla
Administratorin u. Moderatorin
Administratorin u. Moderatorin
Beiträge: 17109
Registriert: Mi 6. Mai 2009, 08:32
Wohnort: Frechen / Dénia
Kontaktdaten:

Re: Mein Garten und ich

Beitrag von Florecilla »

Wie schön, Rio. Man sieht, wie viel Liebe, aber auch Arbeit in jedem einzelnen Beet steckt. Meine Hochachtung! Dein Garten erinnert mich an die Sommer meiner Kindheit. Immerzu musste irgendetwas eingepflanzt, ausgemacht, umgesetzt, geerntet, eingekocht oder eingefroren werden. Danke für dieses Déjà-vu >:d<

Gerne mehr davon ...
Saludos,
Florecilla (Margit)


CBF on Facebook
Calendula
activo
activo
Beiträge: 378
Registriert: Do 21. Apr 2011, 09:37
Wohnort: IBI / Alicante
Kontaktdaten:

Re: Mein Garten und ich

Beitrag von Calendula »

Hola rioja,
schön Dein Garten. Ich bewundere immer Leute die Ihren Garten so ordentlich halten können. Mir gefällt auch, dass Du mulchst und nützliche Insekten ansiedelst.

Bei mir ist alles mehr Kraut und Rüben. Die Wildkräuter dazwischen (ich lehne den Ausdruck Unkraut ab) dienen im Moment den Hühnern als Grünfutter. So werden die Beete mit der Zeit auch sauber. Ich wunder mich immer wieder, dass meine Pflanzen denen in Deutschland nicht unbedingt voraus sind. Im Moment kann ich Salat und Spinat ernten. Da ich bei langsam keimenden Gemüsen Radieschen als Markierung säe, haben wir davon auch mehr als wir essen können. Erdbeeren und Himbeeren beginnen auch so langsam.

Bilder folgen auch noch, aber da ich das lange nicht gemacht habe, muss ich erst eine gewisse Unsicherheit überwinden.

Euch allen einen schönen Tag im Garten
---
Grüßle
Calendula
Benutzeravatar
Citronella
especialista
especialista
Beiträge: 6833
Registriert: Do 7. Mai 2009, 20:41
Wohnort: Jalon / Xaló - Spanien

Re: Mein Garten und ich

Beitrag von Citronella »

Hallo Rioja,

danke für den Blick über den Gartenzaun und Kompliment, deine Beete sehen wie geleckt aus. Da steckt viel Arbeit und Liebe drin #:-s. Eine Frage habe ich noch: Was ist Pattisson?

Zeig uns ruhig mehr von deinem Garten ;;) in dieser Zeit brauche ich nicht zu arbeiten.

Saludos
Citronella
Benutzeravatar
Oliva B.
Administratorin u. Moderatorin
Administratorin u. Moderatorin
Beiträge: 22014
Registriert: Mi 6. Mai 2009, 08:17
Wohnort: Heute hier, morgen dort, bin kaum da, muß ich fort...

Re: Mein Garten und ich

Beitrag von Oliva B. »

Hallo Rio,

ganz so akkurat sind meine Gemüsebeete nicht, aber es wächst trotzdem was.
Schön sieht es bei dir aus. Ich werde mich bemühen, mir was von dir abzugucken. ;;)
Ein Teil meines Gärtchens, das ich dem Olivenhain abgetrotz habe.
Ein Teil meines Gärtchens, das ich dem Olivenhain abgetrotz habe.
Und da so viele Experten unter uns sind, gleich eine Frage:
Ich habe das Gefühl, meine Gurken stehen zu eng, muss ich die pikieren?
Ich habe das Gefühl, meine Gurken stehen zu eng, muss ich die pikieren?
Benutzeravatar
Rioja
apasionado
apasionado
Beiträge: 913
Registriert: Mi 20. Okt 2010, 02:36

Re: Mein Garten und ich

Beitrag von Rioja »

Hallo zusammen, hallo Oliva

Ja deine Gurken stehen schon etwas dicht, vor allem die im Hintergrund. Ich würde sie etwa 50 cm auseinander pflanzen in der Reihe. Dabei darfst du schon zwei Pflänzchen zusammen pflanzen.



Teil 2

Zum vergrössern Bilder anklicken

Garten  Anfang Mai 2011 1610.jpg, 1.jpg
Die Sumpfschildkröten benutzen das schöne Frühlingswetter auch zum sonnen und kriechen bevorzugt auf die Baumstämme.
Garten  Anfang Mai 2011 1611.jpg, 1.jpg
Die Topfpflanzen machen sich auch gut auf der Sandsteinmauer. Die zwei Geranien und die Nelke haben uns den grössten Teil der Frühlingsferien begleitet. Wir lieben es beim Campen auch von Blumen umgeben zu sein und auf dem Tisch steht meist ein Sträusschen.
Garten  Anfang Mai 2011 1616.jpg, 1.jpg
Am Hauseingang werden unsere Gäste natürlich auch mit Blumen begrüsst. Der Buchs kommt natürlich aus den Pyrenäen. Dass wir Hunde lieben ist auch ersichtlich. Der Margaritenstock blüht nun bereits zum zweiten Mal, nachdem alle verblühten Blumen entfernt wurden.
Garten  Anfang Mai 2011 1619.jpg, 1.jpg
Ja, das stimmt genau, hat ja kürzlich hier jemand herausgefunden, was für ein Bösewicht ich bin.
Garten  Anfang Mai 2011 1626.jpg, 1.jpg
Die rosa Baumpäonien sind dieses Jahr zu ersten Mal übervoll mit Blumen. Die Blüten haben oft über 20 cm Durchmesser. Habe auch noch gelbe. Bei den Baumpäonien verholzt der Stängel im Gegensatz zu den Pfingstrosen.
Garten  Anfang Mai 2011 1672.jpg, 1.jpg
Blick auf den Sitzplatz und den Goldfischteich (vorne links) und links im Hintergrund der zweite, neuere Schildkrötenteich, umrahmt von Wildblumen (Salbei, Lichtnelken und Kuckuckslichtnelken). Der Sitzplatz ist umrahmt mit alten Granitschweinefresströgen.
Garten  Anfang Mai 2011 1758.jpg, 1.jpg
Eine Blattbauchlibelle hat sich an einer gelben Schwertlilie niedergelassen und wird alsbald Eier ablegen an Hälmchen oder Stängelchen, die an der Wasseroberfläche liegen.
Garten  Anfang Mai 2011 1760.jpg, 1.jpg
Natürlich haben wir auch „gewöhnliche“ Pfingstrosen, Ich mag sie, weil sie auch noch nach der Blüte mit ihrem schönen Blattwerk Freude machen.
Garten  Anfang Mai 2011 1761.jpg, 1.jpg
Kriechender gelber Ginster am Rande des mediterranen Hügels. Links blüht auch eine rot/gelbe Variante und dazwischen Buchs. Natürlich darf als Topfpflanze auch ein Oleander nicht fehlen. Er überwintert im Gewächshaus.
Garten  Anfang Mai 2011 1762.jpg, 1.jpg
Blick auf den Gewürzhügel. Die Wege im Gewürz- und Blumengarten sind mit Föhrenborke ausgelegt.

Einen weiteren Teil könnte ich nach dem kurzen Urlaub einstellen.
Es grüsst

Rio



Zwanzig Kilometer von der Küste entfernt, fängt Spanien meist erst richtig an.
Benutzeravatar
Citronella
especialista
especialista
Beiträge: 6833
Registriert: Do 7. Mai 2009, 20:41
Wohnort: Jalon / Xaló - Spanien

Re: Mein Garten und ich

Beitrag von Citronella »

Hallo Rio,

richtig schön, dein Spaziergang durch den Garten!

Ich bin ja nicht neugierig :oops: aber darf ich fragen, wohin die Reise geht? Wünsche dir und deiner lieben Frau viel Spass und gute Fahrt.

Saludos
Citronella
klausi8

Re: Mein Garten und ich

Beitrag von klausi8 »

Hi, ich mag auch gut ausgestaltete Gärten - habe vor, mir bei baur noch ein bisschen paar Utensilien zu kaufen.
Dazu werde ich auf jeden Fall einen Aktionscode verwenden - da komm ich bissel billiger... das Zeug ist aber auch manchmal ganz schön teuer.
Benutzeravatar
Rioja
apasionado
apasionado
Beiträge: 913
Registriert: Mi 20. Okt 2010, 02:36

Re: Mein Garten und ich

Beitrag von Rioja »

Citronella hat geschrieben:Hallo Rio,

richtig schön, dein Spaziergang durch den Garten!

Ich bin ja nicht neugierig :oops: aber darf ich fragen, wohin die Reise geht? Wünsche dir und deiner lieben Frau viel Spass und gute Fahrt.

Saludos
Citronella
Hallo Citronella

Vielen Dank für die lieben Wünsche. Wir sind ganz oben in Catalunien in Capmany. Ab dem Campinplatz habe ich schon diverse Sonnenuntergangbilder gemacht und hier eingestellt. Da du ja gar nicht neugierig bist, möchte ich dir noch anvertrauen, dass wir dort das 55., 60. und 65 Geburtsjahr feiern von meiner Frau und deren zwei Schwestern (haben wir vor fünf Jahren schon mal gemacht). Natürlich dürfen auch wir Männer mit und zudem sind wir noch bei einer Spanierfamilie eingeladen. Da feiert die Frau ihren Geburtstag und den beginnenden Ruhestand. Sie weiss natürlich nichts und es soll eine Überraschung sein, dass ihre Schweizer Freunde sie besuchen. Habe ich nun nichts vergessen? Ach ja, drück uns die Daumen, dass das Wetter schön ist, obwohl Regen sicher auch nötig wäre.
Es grüsst

Rio



Zwanzig Kilometer von der Küste entfernt, fängt Spanien meist erst richtig an.
Benutzeravatar
Rioja
apasionado
apasionado
Beiträge: 913
Registriert: Mi 20. Okt 2010, 02:36

Re: Mein Garten und ich

Beitrag von Rioja »

Hallo Klausi8

Das freut mich natürlich, dass dir mein Garten gefällt. Wie ich grad sehe, bist du seit heute 11.51 Uhr User hier im Forum. Übrigens freuen wir uns über neue Mitglieder. Da du deinen ersten Beitrag hier beim Gartenthema geschrieben hast, könnte es sein, dass dies etwas übersehen wird. Es hat auf der Startseite im zweiten Block eine Rubrik mit Titel "Hallo ! Ich bin neu hier ..."

Wirst sehen, dass dich nach einigen Vorstellungsworten, viele User freudig begrüssen werden.
Es grüsst

Rio



Zwanzig Kilometer von der Küste entfernt, fängt Spanien meist erst richtig an.
Antworten

Zurück zu „Verschiedenes“